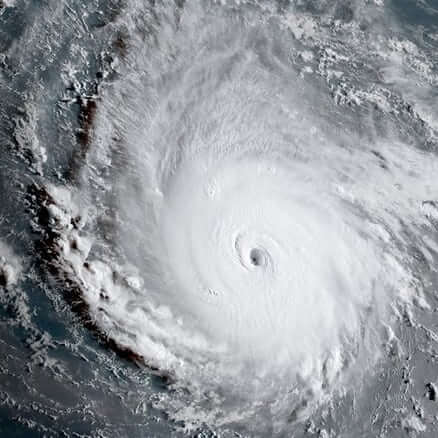
Hurricane Irma Hits Caribbean

September 06, 2017

After a week of intense monitoring, Hurricane Irma finally hit the Caribbean and has begun to wreak havoc on various islands.

Irma bore down on north-eastern Caribbean islands Barbuda and Antigua in the early hours on Wednesday, local time. Authorities have cut the power and urged residents to shelter indoors from “the onslaught”.

On Tuesday the US National Weather Service announced that the massive storm had reached wind speeds of up to nearly 300 kilometres per hour and been upgraded to a category five storm – rare, and capable of life-threatening winds, storm surges and rainfall.

Hurricane Irma is now the most powerful Atlantic Ocean hurricane ever recorded.

If Irma continues along her current trajectory, she will hit Puerto Rico and Dominican Republic on Thursday, Haiti on Friday, Cuba on Saturday and Florida in the US on Sunday.

Florida and Puerto Rico have each declared a state of emergency to free up shelter and evacuation resources in preparation for the storm. Mandatory evacuations have also begun for those living along the shorelines in the path of the hurricane.

The US National Hurricane Center has called Irma “extremely dangerous” and “potentially catastrophic”. “These rainfall amounts may cause life-threatening flash floods and mudslides,” the NHC warned.

Tyler Trogdon, a senior scientist at the NHC, tweeted his shock over the development of the storm: “I am at a complete and utter loss for words looking at Irma’s appearance on satellite imagery.”

Irma approaches the US less than two weeks after Hurricane Harvey hit Texas, leaving 60 dead and thousands homeless. Recovery efforts for Harvey are still underway.

Image: Hurricane Irma seen from space (NOAA/EPA) [online image] (2017) sourced on 6 September 2017 from https://i.guim.co.uk/img/media/4d522137093761089d3d18df9e814de95a9da87b/0_0_2048_1230/master/2048.jpg?w=780&q=55&auto=format&usm=12&fit=max&s=1a47d030f6bed6b09fbf2db7a867b456.